Company Logo
SIGN UP LOGIN

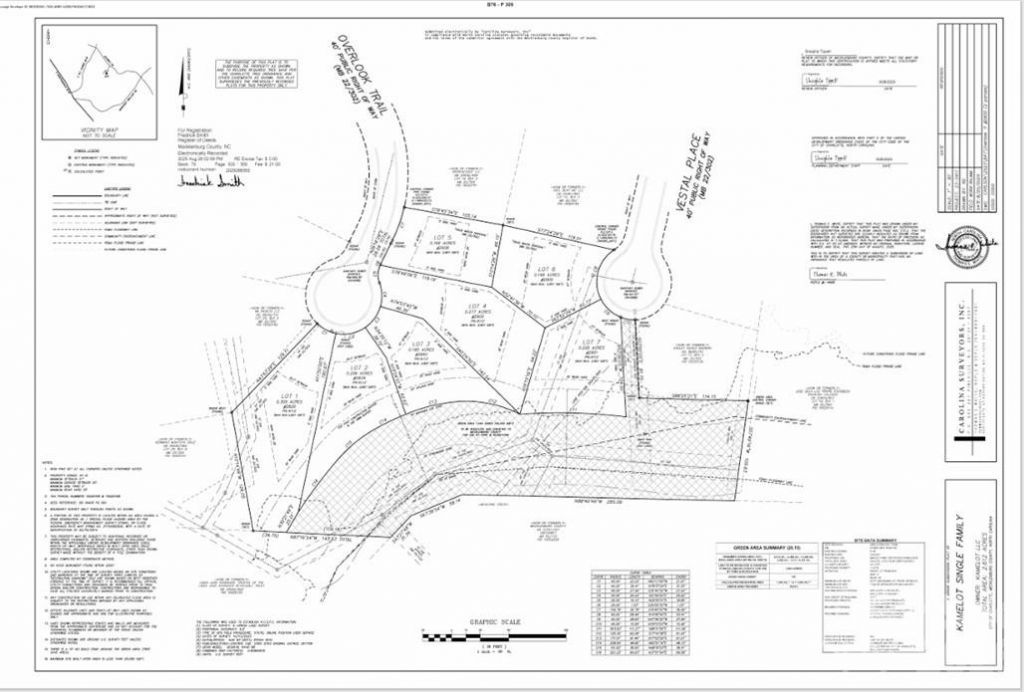
2834 Overlook Trail, Charlotte, NC 20212

$68,500
  • 2834 Overlook Trail, Charlotte, NC 20212 Main Photo

2 Total Photos [Click to View All]

Active
LOT SIZE 0.206 acres MLS#4343831
STATUSActive PROPERTY TYPELand - Residential SUBDIVISIONStoneridge

Property Description

Builders take note, single family or duplex lots. Just recently surveyed and released 7 cul-de-sac lots, 3 already sold and only 4 lots left. These 4 lots in the neighborhood of Stoneridge. No found CCR's 1 Lots on Vestal Place and 3 on Overlook Trail, Located just off of Idlewild Rd. Survey and soil test available. Several of the sites are basement lots. Water and Sewer taps fees will be required. Survey attached.priced and sold separately Address and parcel numbers are below.2834 Overlook Trail 0.206 acres Tax Id- 16520218, Lot 22840 Overlook Trail 0.185 acres Tax Id- 16520217,Lot 32900 Overlook Trail 0.277 acres Tax Id- 16520216, Lot 42905 Vestal Place 0.226 acres Tax Id- 16520213, Lot 7Note- the foundations will require pylons or floating slabs.

2834 Overlook Trail | MLS# 4343831

This land located at 2834 Overlook Trail, Charlotte, NC 20212 is currently listed for sale with an asking price of $68,500. The property has approximately 0.21 Acres. Search Charlotte real estate on online.lakenormanvacationrentals.com today.

Property Features

Property Type: Land - Residential
Lot Size: 0.21 Acres

Feature Descriptions

Days on Site: 67
Parcel#: 16520218
Sewer: Public Sewer, Tap Fee Required
Water: City, Tap Fee Required

Local Schools

High School: Unspecified
Middle School: Unspecified
Elementary School: Unspecified

Listed By / Shown By

Listed By

Agency Name: Cole Real Estate Advisors
Agency Contact: mbrown@colecre.com

Shown By

Agency Title: Lake Norman Realty
Agency Phone: 704-450-1175

IDX logo

Estimate Your Payment

Estimated Payment

$ 384.56 per month $364.59 Principal & Interest $0.00 Property Tax (data not provided by mls) $19.98 Homeowner's Insurance

Change Payment Information

%
years/fixed
yearly
yearly (est.)
(Payments are an estimate and may vary by lender)

Login to My Homefinder

Register to View this Listing

Why Create an Account?

If you're searching for your next home, or just curious about the market there is no better tool to help you quickly find homes that meet your needs and wants.

With an account you can:

  • Save your favorite listings
  • Save searches with your important parameters
  • Be emailed about new listings that meet your criteria
  • Be notified of changes to your saved listings such as a price reduction or when a property goes off the market
  • Keep track of homes you have recently viewed

Sign Up Today

At least 6 characters with one uppercase, one lowercase, and one number

Already have an account? Sign in here.

Forgot your password?

Pixel